Villa Romana de Rio Maior classificada

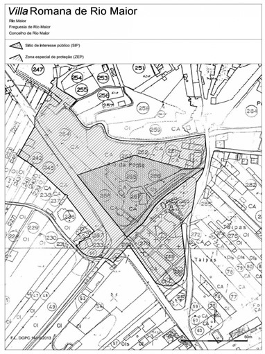
A Villa Romana de Rio Maior foi classificada no passado dia 10 de Janeiro, como sítio de interesse público, por portaria do Secretário de Estado da Cultura, Jorge Barreto Xavier, publicada em Diário da República, que fixa ainda uma zona especial de protecção em redor dessa jóia do património da cidade Rio Maior.

TSR @ 16-1-2014 12:49:12

Facebook Twitter Pinterest LinkedIn WhatsApp

“A villa romana de Rio Maior, situada na freguesia e concelho com o mesmo nome, constitui um importante monumento no contexto da romanização do actual território português, tendo sido objecto de um programa sistemático de estudo e valorização”, lê-se no preâmbulo da portaria publicada em Diário da República.

No texto que enquadra a classificação acrescenta-se que “as pesquisas arqueológicas realizadas nesta villa, centro de uma importante exploração latifundiária, centraram-se na chamada pars urbana, revelando uma casa composta por quatro corredores, seis salas, duas absides e uma dependência circular com doze metros de diâmetro”.

A zona especial de protecção agora criada pelo Governo em redor do sítio tem em conta a importância dos achados arqueológicos e a expectativa de os mesmos se poderem prolongar para outras áreas ainda não investigadas.


A classificação da villa romana foi recebida com satisfação pelo executivo municipal, que na sua reunião ordinária desse mesmo dia se congratulou com essa decisão tomada.

TSR @ 16-1-2014 12:49:12


Clique aqui para ver mais sobre: Está ... TudoSobreRodas


Facebook Twitter Pinterest LinkedIn WhatsApp



Últimas notícias